Önkormányzati koncepció, stratégia, programok
Felhívás
Tisztelt Lakosok és Egyeztető Partnerek!
Kiskunfélegyháza Településrendezési eszközei (Településszerkezeti terv, Helyi Építési Szabályzat) módosulnak 4 ügyben.
Módosítási helyszínek áttekintő térképe
1. helyszín: A 0408/88 helyrajzi számú, Ktu jelű beépítésre nem szánt Különleges turisztikai területbe tartozó telek tulajdonosa kezdeményezte az általa megvásárolandó szomszédos telek (hrsz.: 0408/104) hasonló besorolását lovardája bővítése érdekében. Az övezetben a turisztikai funkció mellett a lovassport építményei, szolgálati lakások és egy lakóépület elhelyezésének lehetőségét is biztosítani szükséges. A bővítési terület jelenlegi besorolása Má általános mezőgazdasági övezet, amely az M5 autópálya és az 5302. jelű Izsáki út között fekszik.
Légifotó (Google)
2. helyszín: Az Ipari Park bővítési területén lévő 0463/232; 0463/233; 0463/234; 0463/235 helyrajzi számú külterületi, művelésből kivont ingatlanokon energiatermelő létesítmény valósul meg. A terület tulajdonosa a jelenleg kijelölt Gip ipari övezet helyett célzottan a Kb-En jelű, beépítésre nem szánt Különleges, a kutatás-fejlesztés, a megújuló energiaforrások hasznosításának céljára szolgáló terület besorolásért folyamodott a 4,0 MW teljesítményű napelempark létesítése érdekében.
Légifotó (Google)
3. helyszín: A Szivárvány szociális otthon 4570 helyrajzi számú telke és a Bercsényi utcai óvoda 4571 helyrajzi számú telke Keü jelű beépítésre szánt Különleges egészségügyi területbe tartozik. Utóbbi intézmény fejlesztése érdekében Vt jelű településközpont vegyes területbe kerül át a két telek. Az új besorolás a szociális intézmény későbbi fejlesztését is jól szolgálja.
Légifotó (Google)
4. helyszín: A Vt-2 és Vt-3 jelű településközpont vegyes övezet szabályozására vonatkozóan lakossági kérést nyújtottak be. Az övezetekben elő van írva minimális épületmagassági érték (5,0 m), amely a melléképületekre vonatkozóan nem, vagy csak esetenként indokolt, ezért az előírás felülvizsgálatra kerül.
Jelenlegi Településszerkezeti terv (Tszt-2) részlet, nem fog változni (Vt-2 és Vt-3 építési övezetek sárga vonallal lehatárolva)
A módosítások partnerségi véleményezése a Kiskunfélegyháza Város településfejlesztési, településrendezési és településképpel kapcsolatos feladataival összefüggő partnerségi egyeztetés szabályairól szóló 11/2017. (III. 30.) önkormányzati rendeletnek megfelelően történik.
Észrevételeiket elektronikusan a jegyzo@kiskunfelegyhaza.hu címre és írásban a polgármesteri hivatal jegyzői irodájába juttatva közölhetik 2022. április 18-a (hétfő) éjfélig.
Csányi József
polgármester
Felhívás
Tisztelt Lakosok és Egyeztető Partnerek!
Kiskunfélegyháza Településrendezési eszközei (Településszerkezeti terv, Helyi Építési Szabályzat) módosulnak 14 ügyben.
Módosítási helyszínek áttekintő térképe
- helyszín: Halesz zártkertek É-i határán egy Kb-En jelű, beépítésre nem szánt Különleges, a kutatás-fejlesztés, a megújuló energiaforrások hasznosításának céljára szolgáló terület lesz kijelölve 1 MW teljesítményű napelempark létesítése érdekében (hrsz.: 0493/14).

- helyszín: a Majsai út mentén, az autópálya közelében, a vasútvonaltól K-re egy Kb-En jelű, beépítésre nem szánt Különleges, a kutatás-fejlesztés, a megújuló energiaforrások hasznosításának céljára szolgáló terület lesz kijelölve 3,6 MW teljesítményű napelempark létesítése érdekében (hrsz.: 0601/11).

- helyszín: Halesz mellett, az autópályától Ny-ra lévő 0467/62,135,136-ú telkek egy része Kmü jelű beépítésre szánt különleges mezőgazdasági üzemi területté válik és létrejön egy védőerdő is a terület ÉK-i határán.

- helyszín: Ring-hegy É-i határán lévő zöldségfelvásárló és csomagoló üzem bővítési területe Kmü jelű különleges mezőgazdasági üzemi kategóriába kerül (0421/2,3,5,16,17 hrsz-ú telkek).

- helyszín: A helyi értékvédelemmel érintett, egykor, vagy még ma is intézmény funkciót betöltő, mezőgazdasági övezetben lévő alábbi telkek mezőgazdasági terület helyett Kmü jelű beépítésre szánt különleges mezőgazdasági üzemi területbe kerülnek át, amely besorolás lehetővé teszi értékmegőrző fejlesztésüket, változatos funkcióra való átalakításukat.
- Alpári úti külső iskola v. Bíbok-iskola, Külterület 80. hrsz.: 0154/5
- Bugaci úti óvoda, Külterület. X. körzet tanya 95. hrsz.: 0419/21
- Csanyi úti iskola, Külterület 42. hrsz.: 036/13
- Izsáki úti iskola, Külterület 68. hrsz.: 0406/14
- Kecskeméti úti külső iskola, Külterület 13. hrsz.: 0352/2
- Selymesi iskola, Külterület 100. hrsz.: 0635/17
- helyszín: A Dél-100 Kft. Molnártelepi út mentén kiépült telephelye bővülne Ny-i irányban, ebből a célból a 0459/167,168 hrsz.-ú telkek Gá-1 jelű általános gazdasági övezetbe kerülnek át, kivéve a telkek Ny-i részét, amely a meglévő tanyák védelme érdekében és törvényi előírás miatt védőerdő területi besorolást kap.

- helyszín: A Félegyházi-vízfolyás mellett fekvő, a Tanyasori útról megközelített 2219/3 és a 2219/4 hrsz.-ú telkek Kmü-1 jelű különleges építési övezetbe, a meglévő Kmü-1 övezetbe kerülnek át a meglévő lovasturisztikai terület bővítése céljából. A belterületi határnál lévő 2214/2 hrsz.-ú ingatlan Ev védelmi erdő besorolást nyer.

- helyszín: Bankfaluban az óvoda előtti zöldfelület (hrsz.: 5698) egy részén napicikk áruház létesülne a városrész ellátására. Az áruház számára Vt jelű településközponti vegyes terület kijelölése történik.

- helyszín: Önkormányzati érdekből gyűjtőút nyomvonal és lakóterület kijelölés törlése történik az 5-ös számú főút városból É-ra kivezető szakasza és a Kisszegedi út között. Az utakat összekötő tervezett gyűjtőút megvalósítása kétségessé vált. A gyűjtőút átvezetése már közel húsz éve szerepel a tervekben, fejlesztését ösztönözve lakóterület kijelölésére is sor került, ám a jelölt területek felhasználása nem kezdődött meg és az út kialakítására sem tettek erőfeszítést a területfejlesztésben érdekelt magántulajdonosok. A gyűjtőút nyomvonalát és az arra telepíteni tervezett lakóterület kijelölését törölni szükséges. A területek a jelenlegi használatnak megfelelő besorolást kapják.

- helyszín: a 345/2012. (XII. 6.) Korm. rendelet országos jelentőségű kiemelt fejlesztési területnek minősítette a „2.1.86. A 140. számú vasútvonal, Cegléd-Kiskunfélegyháza-Szeged szakasz fejlesztése” című projektben érintett területeket. Ennek kapcsán a vasúti átjárók és a Molnártelepi út leszabályozása fog megtörténni.
- helyszín: Az M5 gyorsforgalmi út Izsáki úti csomópontjánál kijelölt kereskedelmi szolgáltató terület hasznosítása megvalósítás előtt áll. A terület egységes Gksz-1 övezeti besorolást nyer, valamint 17,0 m épületmagassági maximum-érték lesz a 0418/49,50,51,52,55,56,58,59,60,61 hrsz.-ú telekcsoportra előírva.

- helyszín: A Csongrádi út külső szakaszán fekvő egykori tollüzem fejlesztésére technológiai okból 40,0 m épületmagassági érték biztosítása szükséges.

- helyszín: A belterület Lke jelű kertvárosias lakóterületein a módosult országos előírásokat követve a megengedett legnagyobb beépítettség mértéke 30-ról 35 %-ra növekszik.

- helyszínhez nem kötődő módosítási tétel: a HÉSZ-ben rögzítve van a zártsorú beépítési módra vonatkozó előírás, mely szerint az épület oldalszárny nélküli beépítési mélysége nem haladhatja meg az utcai építési vonaltól számított 13,0 métert. A szabályozást rugalmasabbá kell tenni, hogy a kialakult állapot és az építési program szerint el lehessen térni e helyi szabálytól.
A módosítások partnerségi véleményezése a Kiskunfélegyháza Város településfejlesztési, településrendezési és településképpel kapcsolatos feladataival összefüggő partnerségi egyeztetés szabályairól szóló 11/2017. (III. 30.) önkormányzati rendeletnek megfelelően történik.
Észrevételeiket elektronikusan a jegyzo@kiskunfelegyhaza.hu címre és írásban a polgármesteri hivatal jegyzői irodájába juttatva közölhetik 2021. december 15-e (szerda) éjfélig.
Csányi József
polgármester
Tájékoztató
– 2020-07-30 –
Tisztelt Lakosok és Egyeztető Partnerek!
Kiskunfélegyháza Településrendezési eszközei (Településszerkezeti terv, Helyi Építési Szabályzat) módosulnak hét helyszínen, a következő ügyekben:
Módosítási helyszínek áttekintő térképe
-
helyszín: a tulajdonos kérésére Má jelű mezőgazdasági területből Eg jelű gazdasági erdőterületbe kerül át a 0364/78 helyrajzi számú telek. A terület az 5-ös számú főútnak a Kecskemét felé vezető szakasza közelében található.
-
helyszín: Má jelű általános és Mk jelű kertes mezőgazdasági területből Kmü jelű mezőgazdasági üzemi területbe és Ev jelűerdőterületbe kerül át a 0348/16 és a 0348/19 helyrajzi számú telek. A helyszín a Kiskun Farm Kft. állattartó telepe mellett található, a bővítési területen hígtrágya-tárolót létesítenek.
-
helyszín: Gksz jelű kereskedelmi szolgáltató gazdasági terület helyett K-Hon jelű beépítésre szánt különleges honvédelmi, katonai és nemzetbiztonsági célra szolgáló terület kategóriába kerül a 0650/62 helyrajzi számú telek, ésMá jelű általános mezőgazdasági terület kategóriába kerül a 0650/64 helyrajzi számú telek. A helyszín az 5-ös számú és az 541-es számú főút csomópontjánál található.
-
helyszín: Kmü jelű mezőgazdasági üzemi terület besorolásba kerül át a 028/76 helyrajzi számú telek egy része Ev jelű védelmi erdőterületből, és a 028/70 helyrajzi számú telek egy része Má jelű általános mezőgazdasági területből. Az így keletkező Kmü terület az NT-Agro Kft. meglévő majorjának bővítésére szolgál. A helyszín a Csanyi út mellett, a Zöldmező lakóterület (egyéb belterület) közelében található.
-
helyszín: a 099/6 helyrajzi számú, Kmü jelű különleges mezőgazdasági üzemi területbe tartozó telek építési övezeti előírásaiban változás történik: a megengedett épületmagasság 40 m-re növekszik, az FBZ Hungária Kft. feldolgozási technológiájának (tolltisztítás) megfelelő épület elhelyezése érdekében.
-
helyszín: Sp jelű beépítésre szánt sportterületből Gksz jelű kereskedelmi szolgáltató gazdasági területbe kerül át a Molnártelepen, külterületi fekvésben lévő, 0461/9 helyrajzi számú Vasutas SK sportpályájának a K-i része.
-
helyszín: a Csanyi úti „Szivárvány” szociális intézmény területén belül (hrsz.: 1228/2) van alkalmas hely egy bölcsőde elhelyezésére, azonban az építési övezetben elhelyezhető funkciók körét ilyen értelemben bővíteni kell a Helyi Építési Szabályzatban. A módosítás közösségi érdek.
A részletes tervleírás a településtervező http://ujleptekbt.hu/ honlapján megtekinthető. A honlapon a Kiskunfélegyháza címszó alatt a Folyamatban lévő tervanyag / Egyéb tervanyagok mappa tartalmazza a „módosítási terv” című dokumentációt.
A módosítási terv gyors elérési útja:
http://ujleptekbt.hu/tervanyag/kiskunfelegyhaza/folyamatban/modositasi_terv.pdf
A változások közösségi érdekű (intézményfejlesztési) és vállalkozásokat segítő (gazdaságfejlesztési) tervek megvalósulását szolgálják. A módosítási terv kitér a környezetalakítás, közműellátás, környezetvédelem témáira is.
A módosítás tervének partnerségi véleményezése a Kiskunfélegyháza Város településfejlesztési, településrendezési és településképpel kapcsolatos feladataival összefüggő partnerségi egyeztetés szabályairól szóló 11/2017. (III. 30.) önkormányzati rendeletnek megfelelően történik.
Észrevételeiket elektronikusan a jegyzo@kiskunfelegyhaza.hu címre és írásban a polgármesteri hivatal jegyzői irodájába juttatva közölhetik 2020. augusztus18-a (kedd) éjfélig.
Élőszóban is mód nyílik véleményük, javaslataik közlésére. Lakossági fórumot tart önkormányzatunk a Településrendezési eszközök módosításának tervezetéről
2020. augusztus 10-én (hétfőn) 15:00 órakor
a Városháza I. emeleti tárgyalótermében, melyre tisztelettel meghívom az érdeklődőket.
Csányi József
polgármester
Tájékoztató
– 2020-02-14 –
Tisztelt lakosaink, vállalkozóink!
Az önkormányzatok egyik legszebb, de egyúttal felelősségteljes feladata a település tervszerű alakítása, védelme. A településfejlesztés és a településrendezés célja a lakosság életminőségének, és a település versenyképességének javítása, melynek során a jogos magánérdekre tekintettel kell biztosítani a területek közérdeknek megfelelő felhasználását. Az önkormányzat a településfejlesztési szándékait a településfejlesztési koncepcióban foglalja rendszerbe, melynek keretében a területi adottságok és összefüggések figyelembevételével határozza meg a település jövőképét. A település területének, telkeinek felhasználására, az építés helyi rendjére vonatkozó szabályok kialakítása a településrendezési terv feladata.
Kiskunfélegyháza településfejlesztési koncepciótjá 2030-ig kiterjedően fogalmaztuk meg. Kiskunfélegyháza fejlesztési szempontból meghatározó sajátossága a megyeszékhelyhez való közelsége, történetileg kialakult járásközpont szerepköre, ezen belül is „iskolaváros” jellege, társadalmának belső ereje, mezőgazdasági tradíciója, felnövekvő ipara, ígéretes logisztikai lehetőségei és a térségi összefogásra alapozható idegenforgalmi potenciálja. 2030-ra a város virágzó térségközponttá válhat, hagyományosan erős társadalmi értékeit és előnyös gazdaságföldrajzi adottságait kibontakoztatva, lakosainak és vállalkozásainak megelégedésére fejlődhet tovább.
A településfejlesztési célok megvalósításának egyik hatékony eszköze, hogy az önkormányzat a vonatkozó törvények által meghatározott keretek között, az azokban megjelenő lehetőségek maximális kihasználásával határozza meg a területhasználatot és a beépítés módját, mértékét. A 2019-ben elfogadott rendezési terv segíti a város térségi központ szerepének erősödését, a lakosság, valamint a vállalkozói szféra számára megkönnyíti építési, beruházási elképzeléseik megvalósítását és mindemellett segít megőrzi Félegyháza vonzó, középvárosi mivoltát.
Kiskunfélegyháza funkciógazdag intézményhálózata és a munkalehetőségei vonzást gyakorolnak a környező településekre. A város és vonzáskörzete közötti kapcsolat színtere elsősorban a „történeti városrész”, itt találhatók a hivatalok, iskolák, piac, pénzintézetek, buszállomás, és az üzletek változatos kínálata. Mindezek mellett a városközpontnak élhetőnek kell maradnia, hiszen sokaknak lakhelyéül is szolgál. A sokrétű elvárás nem túlzott, hanem normális jelenség a térségközpontokban, a rendezett működés feltételét az ingatlanvagyon gyarapításával tudja biztosítani az önkormányzat. A központképző funkciók befogadása érdekében a rendeltetési besorolás 2019-ben bővült, az addigi, merevebb szabályozás helyébe a „kialakult” kategória lépett, így ma már a változatos adottságokhoz illeszkedve bármely beépítési mód (szabadon álló, oldalhatáron álló, ikres, vagy zártsorú) alkalmazása megengedett, ha vannak előzmények vagy példák a telken vagy a szomszédságban. Ez a megoldás lehetőséget ad a kialakult telekhasználat és építési rend megtartására, csökkentve a kényszerű változtatásokból eredő hátrányokat. A növekvő elvárások teljesíthetősége érdekében a beépítettség megengedett mértéke is nőtt.
A Petőfi lakótelep zöldfelületi kapcsolatait erősítjük mind a városközpont, mind a Bankfalu (Templomdomb) irányába és a Tanyasori úti vasúti átjáró fénysorompós biztosításával a horgásztóhoz és pihenőhelyhez. A gyermekintézmények mellett parkoló utca, sétány, zöldsáv jön létre, a vasút melletti szabad terület a korábban tervezett garázsok helyett zöldfelületi jelleggel fejlődik. A lakótelep és a Félegyházi vízfolyás között elterülő önkormányzati tulajdonú terület társasházas beépítési lehetőségét is biztosítja a 2019. évi terv.
Az Ipari Park D-i részének tervszerű fejlesztése, az előnyösebb pályázati lehetőségek kihasználhatóságának érdekében a terület ipari övezetbe van sorolva. A megengedett legnagyobb beépítettség lehetősége (50%) és a viszonylag kicsi előírt minimális terület (1500 m2) „helyzetbe hozza” a területet, ahol így kisebb vállalkozások is megtelepedhetnek és pályázati támogatásban részesülhetnek.
Előnyös adottság a kórháznak és a fürdőnek az egymás melletti és a városközponthoz közeli fekvése, a Fürdőszálló pedig a maga nemében teljesen egyedülálló az Alföldön. Az egykor tekintélyes számú félegyházi szélmalom közül az egyetlen eredeti helyén, eredeti állapotában megmaradt épület a kórház területén található. A közpark rendezése során hangsúlyozni kell a Fürdőszálló és a park egykori egységét. A jövőbeni helyszűke megelőzésére célszerű lesz fejlesztésbe vonni az Izsáki út felől kapcsolódó raktártelepet, amely jelenleg is a fürdővel megegyező övezetbe tartozik. Az egységes besorolás lehetővé teszi a kórház, a strand és uszoda, a Fürdőszálló (mint kezelőépület), a védett malomépület és esetleg egy új többszintes hotel egymást erősítő, komplex hasznosítását.
A Bankfalu a legnépszerűbb családi házas építési területté nőtte ki magát, még további rendezett telekcsoportjai várnak beépítésre az É-i és K-i oldalon, a városrész déli irányú bővítése azonban törlésre került. A kialakult zöldterületek megmaradnak. A kertvárosias lakóterületi besorolás lehetővé teszi a területen élők számára szolgáltatást nyújtó, valamint egyéb funkciók (hitéleti, nevelési, oktatási, egészségügyi, szociális, kulturális, szállás jellegű és sportcélú létesítmény) telepítését is. A Templomdomb megőrzi zöldterületi (közpark) besorolását.
A Molnártelep belterületté válása és közművesítése megteremtette a lakóterülettől elvárható körülményeket, a városrészt azonban tartósan elkülöníti a vasútvonal a várostesttől. A népesség-növekedést feltételező koncepció alapján korábban kijelölt további fejlesztési területei mezőgazdasági művelés alatt állnak, nincs reális forgatókönyv a lakóterületté válásukra, ezért visszakerülnek általános mezőgazdasági területbe. A jelenleg érvényben lévő országos szabályozás a beépítésre nem szánt területeken is enged 10 % beépítettséget, ezért a tanyák, újonnan települni szándékozó farmgazdaságok előtt nyitva áll a fejlődés útja az új besorolás keretében is.
A Közelszőlő telkein a lakóterületi beépítésre továbbra is megmarad a lehetőség, a tulajdonosok öntevékeny területfejlesztését a szabályozás rugalmasabbá alakítása segíti. A Móraváros melletti kertek külterületi státuszúak, ugyanakkor a terület alkalmas lakóterületi fejlesztésre, Móraváros intézményi és egyéb ellátási infrastruktúrája jól elérhető. Az építési szabályzat lehetővé teszi az átmeneti időszakban (amíg a teljes közmű és az úthálózat ki nem épül) egy kisebb beépítési intenzitású, csökkentett közművesítési követelményű lakókörnyezet megvalósulását.
Rendezett és nyugodt lakókörülményeket kínál a Csanyi út végén kialakult Zöldmező lakótelep, amely egyéb belterületi státuszú. Bővítésére nem merült fel igény. Ugyancsak egyéb belterületnek minősül az Aranyhegyi lakóterület, amely bővítési lehetőséggel is rendelkezik.
Félegyháza belterülete többnyire gazdasági telephelyekkel szegélyezett, a keleti részen viszont áthalad a Félegyházi-vízfolyás, amely valamelyest természet közelbe vonja a partjai mentén lévő lakóterületeket (Petőfi lakótelep, Bankfalu, Liget utca környéke). A meder és a parti sáv rendbetételére az ökológiai szemlélet jegyében kerülhet sor. A Liget utcai volt spottelepen elindult fejlesztések (kutyás-lovas szabadidő-eltöltés, szabadtéri testedzés) megmutatják az irányt a Félegyházi-vízfolyás és a Liget utca közötti terület, elsősorban a vízfolyást kísérő 100-150 méteres területsáv rendezésére. A városközponthoz közeli fekvésének, nagyarányú lombfedettségének köszönhetően zöldfelületi közösségi rendeltetése erősíthető, és szervesen kapcsolódhat a közeli Csongrádi út menti vásártérhez, mely nagyrendezvényekre, szabadtéri kiállításokra is alkalmassá tehető.
A majorokat beépítésre szánt különleges mezőgazdasági üzemi területként lehet fejleszteni, biztosítva a szokás szerint jelen lévő és igény szerint az eddigieket színesítő funkciók (állattartás, mezőgazdasági feldolgozás, tárolás, ipari tevékenység, nem jelentős hulladékkezelés, lakóépületek, vagy szolgálati lakások, terménykereskedelem, vallási célú, valamint oktatási épületek, vendéglátás, lovagoltatás, turisztikai szálláshely, idegenforgalom) elhelyezését.
A Halesz és a Selymes kiskertjeit változatos módon használják a tulajdonosaik, ezért kialakult jellegükre szabottan beépítésre nem szánt különleges pihenőkert kategóriába kerültek át 2019-ben. A kertművelés építményein túl a lakás-, a kiskereskedelmi-, a vendéglátási funkció, valamint a vallási, az oktatási és a szociális létesítmények elhelyezése is megengedett az övezetben. A kiskert tulajdonosoknak is köszönhető a futóhomok kertgazdálkodással való megkötése, a fölminőség javulása, a zöldség-gyümölcs idény- és primőrtermékek kínálatának színesítése a helyi piacon. A területek szociális vonzása sem negatív, mivel a magasabb ingatlanárak miatt a belterületet elhagyók lakott, rendezett kertes környezetben találhatnak, ha nem is összkomfortos, de elfogadható otthonra, ahol egészséges élelmiszerekkel láthatják el családjukat és jövedelemtermelő tevékenységet is folytathatnak. Az új szabályozás lendületet adhat ennek a folyamatnak a 720 m2-es minimális telekterület, valamint a 10% maximális beépítettség megállapításával. A telkek beépülésekor le kell választani a szabályozási vonallal megállapított kötelező utcaszélesítés területét, amely később lehetővé teszi a hiányzó közművek kiépítését.
Városunk Zöldfelületi infrastruktúrája rendszerbe foglalja a közparkokat, közkerteket, a burkolt és fásított köztereket, útmenti fasorokat. Összehangolt fejlesztésükre ad javaslatot a 2019-ben elfogadott tervanyag zöldfelületi szakági munkarésze. Életminőségünket nem kis mértékben érintik a tervezett beavatkozások és a megvalósuló értékek fenntartásának kérdései.
A közúti, vasúti, kerékpáros és gyalogos hálózatok átszövik a várost, elérhetővé teszik a lakásokat, intézményeket, gazdasági telephelyeket és bekapcsolják az országos közlekedésbe. Kiskunfélegyháza előnyös közlekedési feltételekkel rendelkezik, de mégis sokat fejlődhet ezen a téren, elég a városközpont zsúfoltságára, parkolóhiányára, vagy a Majsai úti hármas vasúti átjáróra gondolni. A 2019. évi közlekedési munkarészben javaslatokat találhatunk a változtatásokra.
Kiskunfélegyháza Településfejlesztési koncepciójának és Településrendezési eszközeinek elérhetőségei
- Településfejlesztési koncepció 2030 Településfejlesztési koncepció
- Településszerkezeti terv leírása Településszerkezeti terv leírása
- Településszerkezeti terv – igazgatási terület Településszerkezeti terv külterület
- Településszerkezeti terv – belterület és környéke Településszerkezeti terv belterület
- Helyi Építési Szabályzat rendelet Helyi Építési Szabályzat
- SZ-1 Szabályozási terv (igazgatási terület)
- Északnyugati szelvény (Kunszállás felől) Szabályozási terv külterület ÉNY (Kunszállás felől)
- Északkeleti szelvény (Nyárlőrinc felől) Szabályozási terv külterület ÉK (Nyárlőrinc felől)
- Délnyugati szelvény (Bugac felől) Szabályozási terv külterület DNy (Bugac felől)
- Délkeleti szelvény (Gátér felől) Szabályozási terv külterület DK (Gátér felől)
- Aranyhegy Szabályozási terv Aranyhegy részletes
- Zöldmező Szabályozási terv Zöldmező részletes
- SZ-2 Szabályozási terv (belterület és környéke)
- 1 szelvény (Felsőtemető környéke) Szabályozási terv belterület 1 szelvény (Felsőtemető környéke)
- 2 szelvény (Petőfi lakótelep, Bankfalu) Szabályozási terv belterület 2 szelvény (Petőfi lakótelep, Bankfalu)
- 3 szelvény (Kossuthváros, Erdélyváros) Szabályozási terv belterület 3 szelvény (Kossuthváros, Erdélyváros)
- 4 szelvény (Szegedi út, Móraváros) Szabályozási terv belterület 4 szelvény (Szegedi út, Móraváros)
- 5 szelvény (Ipari Park környéke) Szabályozási terv belterület 5 szelvény (Ipari Park környéke)
- 6 szelvény (Csnyi út környéke) Szabályozási terv belterület 6 szelvény (Csanyi út környéke)
Tájékoztató
Tisztelt Lakosok, Véleményező Partnerek!
Kiskunfélegyháza Város Önkormányzat megindítja a Településrendezési eszközök módosítását a Bankfalu melletti 2222 helyrajzi számú területre vonatkozóan, amely önkormányzati tulajdonban van és szántóművelés alatt áll.
Városunk új Településrendezési eszközei (azaz Településszerkezeti terve és Helyi Építési Szabályzata) készítése folyamatban van, ám az említett módosításra soron kívül szükség van, mivel a napelemes erőművek megvalósítására irányuló beruházásokkal összefüggő közigazgatási hatósági ügyek nemzetgazdasági szempontból kiemelt jelentőségű üggyé nyilvánításáról szóló 347/2017. (XI. 22.) Kormányrendelet nemzetgazdasági szempontból kiemeltté nyilvánította a Kiskunfélegyháza 2222 hrsz.-ú telken megvalósuló napelempark-beruházást. A Településszerkezeti tervben és a Helyi Építési Szabályzatban a beruházás helyszínét jelenlegi Lke kertvárosias lakóterület helyett különleges, beépítésre nem szánt, megújuló energiaforrások felhasználására szolgáló területbe kell besorolni (jele En).
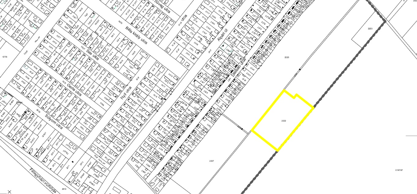
Változással érintett telek megjelenítése az állami nyilvántartási térképen:
A jelenlegi rendezési terv alapján lakótelkek jöhetnének létre a Délibáb utca mögötti szántókon, mintegy 20 hektáron, ám tényleges igény hiányában és a telekosztáshoz szükséges közművesítés tetemes költségei miatt egyelőre nem valósult meg a lakóterület-fejlesztés. A mostani változtatás csak 1,5 hektárt érint, a többi terület továbbra is lakóterület besorolásban marad.
A napelemes projekt eredményeképpen Kiskunfélegyháza Önkormányzat a terület tartós bérbeadásának előnyeit élvezheti, megnövekszik a helyi iparűzési adó és javul a környezet minősége az erőművel kiváltott „piszkos” energia 1000 tonna szén-dioxid-kibocsátásának elmaradása miatt.
A módosítás tervanyagát ezennel véleményezésre bocsátom. A módosítás tervéről Lakossági fórumot tart az önkormányzati főépítész
2018. április 4-én szerdán délután 4 órakor
a Városháza I. emeleti tárgyalótermében.
A módosítási tervanyag az önkormányzati hirdetőtáblán nyomtatott formában betekinthető, elektronikus formában pedig megtalálható a következő web-helyen:
A tervezési folyamat a későbbiekben is nyomon követhető és véleményezhető lesz a partnerségi egyeztetésről szóló 11/2017.(III.30.) önkormányzati rendeletnek megfelelően.
Észrevételek írásos közlésére 2018. áprilisr 12-ig van mód, elektronikusan a martonti@kiskunfelegyhaza.hu címre küldött levélben, postán vagy személyesen pedig a Polgármesteri Hivatal főépítészi irodájába eljuttatva (6100 Kiskunfélegyháza, Kossuth Lajos utca 1.).
Csányi József
polgármester
Tájékoztató
Elkészült Kiskunfélegyháza Város Településképi arculati kézikönyve és Településképi rendelete.
Az elkészült tervezetekről Lakossági fórumot tart az önkormányzati főépítész 2018. január 15-én délután 4 órakor a Városháza I. emeleti tárgyalótermében.
A fórum témájáról 2018. január 5-től bővebben lehet majd tájékozódni az önkormányzati hirdetőtáblán és Kiskunfélegyháza város honlapján is.
Letölthető dokumentumok:
Kkfh_TKR_5_melleklet_nelkul (PDF – 4 MB)
TAK egyeztetési anyag véglegesítés – első javítás (PDF – 47 MB)
TAK (PDF – 48 MB)
Integrált Településfejlesztési Stratégia
Kiskunfélegyháza Város Önkormányzat Képviselő-testülete 2016. június 30-i rendes ülésén 181/2016 (VI.30.) határozatszámon módosítás és kiegészítés nélkül elfogadta Kiskunfélegyháza Város Integrált Településfejlesztési Stratégiájának 2016. évi felülvizsgálatát. Az ITS megismerés céljából az alábbi hivatkozást használva tölthető le PDF formátumban.
Kiskunfélegyháza Város Sportfejlesztési Koncepciója
(2024 – 2029)
Kiskunfélegyháza Város Szolgáltatás-tervezési Koncepciója
(2023)
A szociális igazgatásról és szociális ellátásokról szóló 1993. évi III. törvény 92. § (3) bekezdése alapján a legalább kétezer lakosú települési önkormányzat a településen, fővárosban élő szociálisan rászorult személyek részére biztosítandó szolgáltatási feladatok meghatározása érdekében szolgáltatástervezési koncepciót készít. A szolgáltatástervezési koncepció tartalmát az önkormányzat kétévente felülvizsgálja és aktualizálja. A koncepciót és felülvizsgálatát az elfogadás előtt véleményeztetni kell az intézményvezetőkkel és a nemzetiségi önkormányzattal.
Kiskunfélegyháza Város Közművelődési Koncepciója
(2012-2017)
Közművelődési koncepciónk alapelve, hogy a helyi társadalom művelődési érdekeinek és kulturális szükségleteinek figyelembevételével – a helyi hagyományok, lehetőségek és sajátosságok alapján – meghatározza az önkormányzati, és az általa támogatandó közművelődési tevékenységek körét, azok ellátásának módját, feltételeit és a finanszírozás módját.
Kiskunfélegyháza Város Gazdasági Programja
(2024-2029)
Kiskunfélegyháza Város Önkormányzat Helyi Esélyegyenlőségi Programja
(2023-2028)
A KISKUNFÉLEGYHÁZI KISTÉRSÉG TÉRSÉGI TANYAFEJLESZTÉSI PROGRAMJA
(2011)
Kiskunfélegyháza Város Önkormányzatának Környezeti Fenntarthatósági Terve és Programja
(2017)
Az ENSZ 1992-ben Rio de Janeiróban fogadta el a „Local Agenda 21” elnevezésű akció programját a fenntartható fejlődésről. A nemzetközi program alapján készült el 2010 évben először az önkormányzatunkra vonatkozó tanulmány a fenntartható fejlődés biztosításáról Kiskunfélegyházán, melynek teljes körű felülvizsgálata egységes szerkezetben 2017 évben valósult meg.
Kiskunfélegyháza fenntartható energia- és klíma akcióterve (SECAP)
(2022)








